Olsztyn, Biskupice

Działka na sprzedaż

Opis nieruchomości

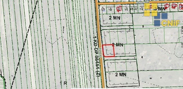
Oferujemy do sprzedaży kształtną działkę pod zabudowę mieszkaniową położoną w Biskupicach Nowych przy ul. Żareckiej  na terenie Parku Krajobrazowego Orlich Gniazd.

* teren objęty MPZP i przeznaczony pod zabudowę mieszkaniową jednorodzinną
* komfortowy dojazd do działki ulicą o nawierzchni asfaltowej
* pow. 1742m2
* szerokość od strony ul. Żareckiej 43,5m
* widokowe położenie, piękne krajobrazy

Działka idealna ze względu na położenie na terenach krajobrazowych, sąsiedztwo  szlaków turystycznych pieszych i rowerowych. To wymarzone miejsce do całorocznego zamieszkania szczególnie dla tych Klientów, którzy aktywnie spędzają czas wolny.

 

Nota prawna

Opis oferty zawarty na stronie internetowej sporządzany jest na podstawie oględzin nieruchomości oraz informacji uzyskanych od właściciela, może podlegać aktualizacji i nie stanowi oferty określonej w art. 66 i następnych K.C.

Szczegóły oferty

Symbol oferty CEN-GS-8083
Powierzchnia 1 742,00 m²
Przeznaczenie działki budowlana
Wymiary działki 43X39 m
Stan prawny własność
Zagosp. działki niezagospodarowana
Ukształtowanie działki płaska
Kształt działki prostokat
Ogrodzenie działki brak
Gaz brak
Woda brak
Dojazd asfalt
Otoczenie działki niezabudowane
Położenie obrzeża miasta
Prąd brak
Kanalizacja brak

Lokalizacja

Kalkulator kredytowy

PLN
%
Wysokość raty

Kalkulator kosztów

PLN
PLN
PLN
PLN
PLN
PLN
%
PLN
Podatek od czynności cywilno-prawnych
Taksa notarialna (opłata notarialna)
VAT od taksy notarialnej (opłaty notarialnej)
Wniosek do WKW
VAT od wniosku do WKW
Prowizja agencji nieruchomości
VAT od prowizji agencji nieruchomości
Wypisy aktu notarialnego - około
RAZEM (cena + opłaty)

Podobne oferty

działka na sprzedaż - Olsztyn, Zrębice

działka na sprzedaż

Olsztyn, Zrębice
  1 985,00 m2 136,02 zł/m2
działka na sprzedaż - Olsztyn, Biskupice

działka na sprzedaż

Olsztyn, Biskupice
  1 820,00 m2 175,00 zł/m2

Napisz do nas

Proszę wypełnić to pole
Proszę wypełnić to pole
Proszę wypełnić to pole
Proszę wypełnić to pole
Trwa wysyłanie...

Centrum Nieruchomości i Finansów - Częstochowa

Biuro

Al. NMP 29

42-200 Częstochowa

biuro@cnif.pl

Telefon: +48 507 090 517